VENTE DE 7 TERRAINS EN TF A KABALA (KOURALE)
Description
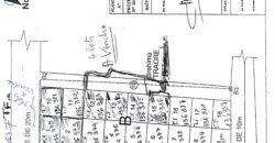
7 terrains non loins du complexe universitaire de Kabala. Comme indiqués sur les deux figures jointes, les lots 1, 2 et 10 au bord d’une route de 20m, et les lots 12, 13, 14 et 15 au bord d’une route de 10m sont à vendre.
LE PAIEMENT ET LE TRANSFERT SE FERA CHEZ UN NOTAIRE.
Contact: FOFANA
Tel: +223 76457557
Émail: fomen00@gmail.com
Adresse
- Adresse Kouralé (Kabala), Bamako
- Pays Mali
- Ville/Région Bamako
- Quartier/Cercle Kabala Bamako
- Voisinage Kouralé Bamako
Vue d'ensemble
- Référence 14819
- Prix Prix sur demande
- Type d'annonce Terrains
- Statut de l'annonce Vente
- Surface 300 m2
- Surface du terrain 300 m2
- Étiquette Titre foncier
- Dimensions du terrain 15X20 mètre carré
- Lot:s: 1 - 2 et 10 au bord d'une route de 20m 6 500 000 Fcfa
- Lots: 12-13-14 et 15 au bord d''une route de 10m 5 500 000 Fcfa
Contact
Notes et avis
Annonces similaires
À VENDRE – TERRAIN DE 1000 m² AU BORD DU GOUDRON À KABALA
180 Million Fcfa📍 À VENDRE – TERRAIN DE 1000 m² AU BORD DU GOUDRON À KABALA Une opportunité exceptionnelle à ne pas manquer ! Ce terrain bien situé en bordure de goudron à Kabala est parfait pour implanter une station-service, un immeuble ou tout autre projet commercial ou résidentiel. 🔹 Superficie : 1000 m² 🔹 Document : […]
VENTE DE TERRAINS A KABALA A BORD DU GOUDRON
Prix sur demandeA vendre terrains à Kabala en Titre foncier au bord du goudron.
A vendre Terrain à Kabala/kourale
140.000.000 FcfaTerrain à vendre à Kabala/kourale 15/20 proche de la cité universitaire titre foncier. Vendu avec plan de construction Sous bassement et fosse septique déjà entamée.

